Thomas Littlefield
Ann Graddon
Thomas Littlefield
Ann Graddon
Frederic Littlefield
Sarah Cluett
Harry Littlefield
f a m i l y
Siblings:
Sarah Harriet Littlefield
Frederick John Littlefield
Lavenia Littlefield
Harriet Littlefield
Eliza Littlefield
Elizabeth Littlefield
William James Littlefield
Emma Frances Littlefield
John Littlefield
Albert Littlefield
George Ernest Littlefield

Children with:

Children:

Harry LITTLEFIELD

  • Born: 26 September 1852
    • Where Born: 2 Dorset Street, Landport, Portsea, [Southampton]
    • Father's Name: Frederick Littlefield
    • Mother's Surname and Maiden Name: Sarah Littlefield formerly Cluett
    • Profession of Father: Joiner
    • Informant: The mark of Sarah Littlefield Mother 2 Dorset Street Landport
    • When Registered: 4th November 1852
  • Navy Record:
    • Born: 26 September 1852 Portsmouth Hants
    • Joined: 5 May 1871
    • Served on: Duke of Wellington
    • Discharged: 31 December 1872
  • Addresses: 1876
    49 Baliol Road, [Portsea, Hampshire, England]
    1881 Omega Terrace
    1891 39 Brompton Road
  • Buried: 30th November 1897
    • At: Kingston Cemetery, Portsea, Hampshire
    • Abode: Surrey Street, Lanport
    • Age: 45 years
    • Description: Steward
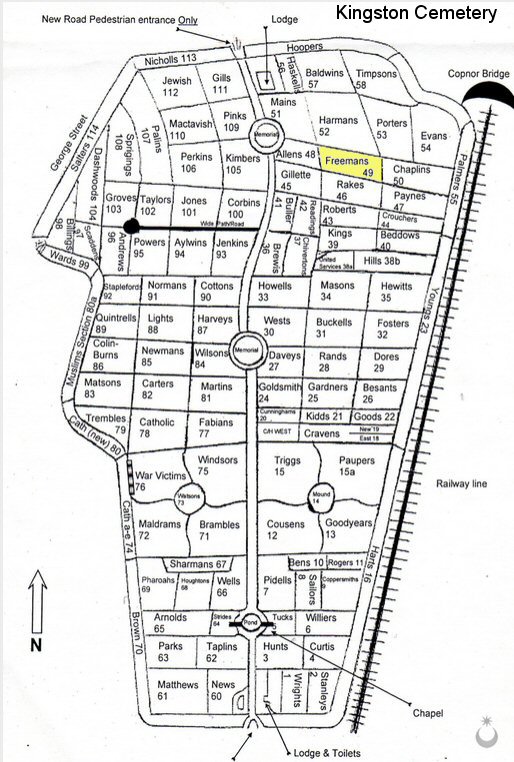
    • Freeman's Plot (49) 1st Row, 4th Grave

Kingston Cemetery
Map

Kingston Cemetery, Portsmouth

Census Information

7 April 1861

  • Address: 4 Dorset Street, Portsea, Portsmouth
  • Age given: 8 years
  • Birthplace: Portsea, Hampshire
  • Occupation: Scholar
  • Reference: RG 9/641; Folio 131; p 37

2 April 1871

  • Parish: St Luke, Portsea
  • Address: 66 Surrey Street, Portsea, Portsmouth
  • Name of Head: Frederick Littlefield
  • Name Given: Harry Littlefield
  • Relation to Head: Son
  • Condition: Single
  • Age given: 18 years
  • Birthplace: Portsea, Hampshire
  • Occupation: Clerk out of employ
  • Other Occupants (relative to head): Sarah Littlefield (wife), Sarah Littlefield (daughter), Eliza Littlefield (daughter), James Littlefield (son), Emma Littlefield (daughter) and John Littlefield (son)
  • Reference: RG 10/1140

3 April 1881

  • Parish: All Saints, Portsea
  • Address: Sultan Road, 2, Marlborough Terrace, Portsea, [Hampshire, England]
  • Name of Head: William E Leamy
  • Name Given: Harry W Littlefield
  • Relation to Head: Boarder
  • Condition: Single
  • Age given: 29 years
  • Occupation: Ward Room Steward R.N.
  • Birthplace: Hampshire Porrtsmouth
  • Other Occupants (relative to head): Louisa Leamy (wife)


Email address